THÔNG BÁO KHẨN: THEO DÕI DIỄN BIẾN SIÊU BÃO RAGASA – BÃO SỐ 9

22/09/2025 | thao.truong
Thích
404 Xem 0 thích 0 Bình luận
🌀 Cảnh báo nguy cơ ảnh hưởng trực tiếp từ Quảng Ninh đến Hà Tĩnh 🗓️ Cập nhật 12h ngày 22/9/2025

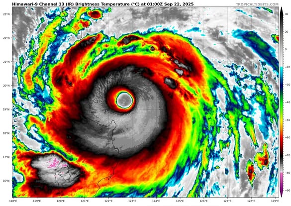
Theo thông tin từ Trung tâm Dự báo Khí tượng Thủy văn Quốc gia và các cơ quan dự báo quốc tế, siêu bão Ragasa – một trong những cơn bão mạnh nhất từng ghi nhận trên Biển Đông trong vòng 30 năm qua – sẽ chính thức đi vào Biển Đông trong tối nay (22/9) và trở thành bão số 9 trong năm 2025.

⚠️ TÓM TẮT DIỄN BIẾN BÃO RAGASA:

- Tâm bão hiện cách đảo Luzon (Philippines) khoảng 140km về phía đông bắc.
- Sức gió vùng gần tâm bão mạnh cấp 17 (202–220km/h), giật trên cấp 17.
- Được Cơ quan Khí tượng Nhật Bản xếp loại là “bão cực mạnh”, mạnh hơn cả bão Yagi năm 2024.
- Dự báo bão sẽ di chuyển nhanh về phía Tây Tây Bắc, mỗi giờ đi được 20km.

Sáng 25/9, bão có khả năng tiến vào vịnh Bắc Bộ và đổ bộ vào khu vực từ Quảng Ninh đến Hà Tĩnh với sức gió cấp 12–14, giật cấp 15–16.

Cảnh báo rủi ro thiên tai cấp 4 (rủi ro rất lớn) đã được đưa ra đối với vùng biển Bắc Biển Đông và vịnh Bắc Bộ – đây là lần thứ hai trong lịch sử Trung tâm Dự báo đưa ra mức cảnh báo này (trước đó là bão Yagi năm 2024).
 

Ảnh mây bão Ragasa lúc 8h ngày 22/9

🌊 NHỮNG NGUY CƠ DỰ BÁO:

- Gió mạnh, giật cực mạnh, sóng biển cao trên 10m.
- Mưa lớn diện rộng từ ngày 24 đến 26/9 tại Bắc Bộ và Bắc Trung Bộ.
- Nguy cơ dông, lốc, nước dâng và sóng lớn đặc biệt tại các khu vực ven biển từ Quảng Ninh đến Huế.
- Các khu vực nuôi trồng thủy sản, tàu thuyền, lồng bè, vùng neo đậu đối mặt rủi ro lớn.

✅ KHUYẾN CÁO ĐỐI VỚI CBNV-NLĐ VTC:

- Theo dõi thường xuyên bản tin dự báo thời tiết chính thống, đặc biệt từ Trung tâm Dự báo KTTV Quốc gia.
- Cập nhật liên tục bản tin nội bộ từ Truyền thông số VTC Media để nắm bắt các chỉ đạo mới nhất từ Ban Lãnh đạo Tổng công ty.
- Chuẩn bị các phương án phòng chống bão theo hướng dẫn địa phương và đơn vị (đặc biệt với những CBNV có người thân ở những vùng chịu ảnh hưởng của bão).
- Tạm hoãn hoặc điều chỉnh kế hoạch di chuyển công tác, sản xuất, ghi hình ngoài trời... tại các khu vực ven biển hoặc nơi dự báo ảnh hưởng trực tiếp.
- Chủ động bảo vệ an toàn tài sản, thiết bị, hệ thống công nghệ tại nơi làm việc, nhất là các bộ phận kỹ thuật và truyền dẫn.

🌐 Truyền thông số VTC Media sẽ liên tục cập nhật thông tin mới nhất về diễn biến của bão Ragasa và các phương án ứng phó từ Tổng công ty.

⚠️ Mọi cán bộ, nhân viên cần nâng cao tinh thần cảnh giác, chủ động phòng ngừa và phối hợp nghiêm túc trong mọi tình huống khẩn cấp.
 
VTC MEDIA

Viết bình luận

Xem các tin khác